Постановление правительства Воронежской области от 06.07.2017 № 530
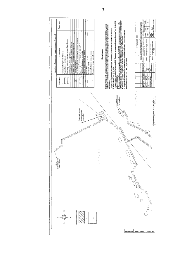
"Об утверждении проекта планировки территории для размещения объекта регионального значения: "Газораспределительные сети с. Попасное Кантемировского муниципального района Воронежской области"
"Об утверждении проекта планировки территории для размещения объекта регионального значения: "Газораспределительные сети с. Попасное Кантемировского муниципального района Воронежской области"
Номер опубликования: 3600201707130016
Дата опубликования:
13.07.2017
