Постановление правительства Воронежской области от 06.07.2017 № 544
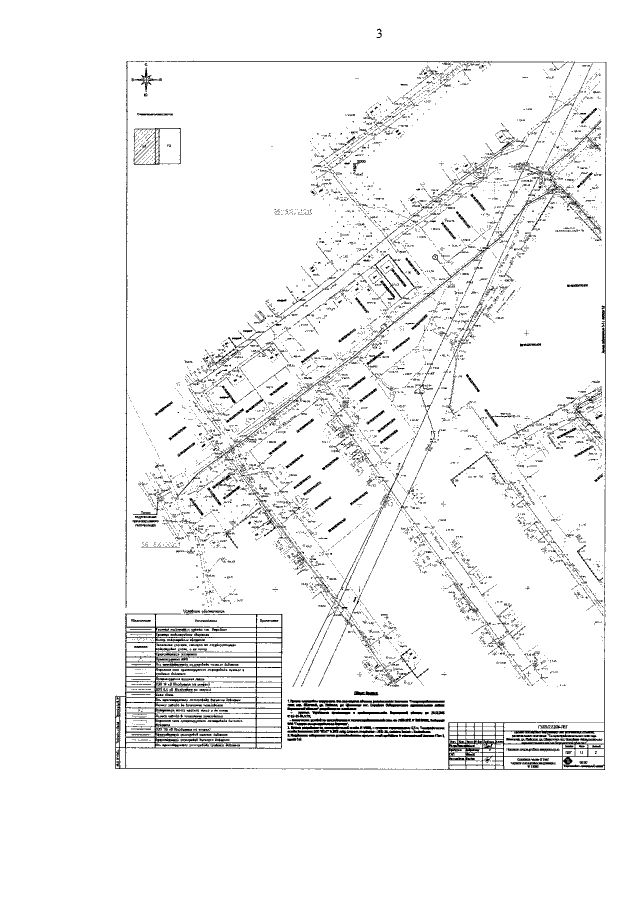
"Об утверждении проекта планировки территории для размещения объекта регионального значения: "Газораспределительные сети пер. Яблочный, ул. Майская, ул. Цветочная пос. Отрадное Новоусманского муниципального района Воронежской области"
"Об утверждении проекта планировки территории для размещения объекта регионального значения: "Газораспределительные сети пер. Яблочный, ул. Майская, ул. Цветочная пос. Отрадное Новоусманского муниципального района Воронежской области"
Номер опубликования: 3600201707130011
Дата опубликования:
13.07.2017
