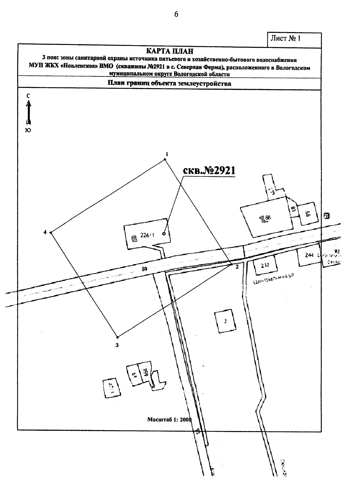
Приказ Министерства лесного комплекса Вологодской области от 10.11.2025 № 1356
"Об установлении зоны санитарной охраны источника питьевого и хозяйственно-бытового водоснабжения"
(Зарегистрирован 10.11.2025 № 1356)
"Об установлении зоны санитарной охраны источника питьевого и хозяйственно-бытового водоснабжения"
(Зарегистрирован 10.11.2025 № 1356)
Номер опубликования: 3501202511110006
Дата опубликования:
11.11.2025
