Официальное опубликование правовых актов
ОФИЦИАЛЬНОЕ ОПУБЛИКОВАНИЕ
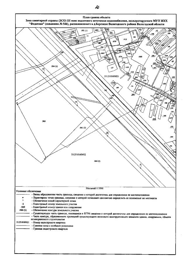
Приказ Департамента природных ресурсов и охраны окружающей среды Вологодской области от 11.03.2021 № 71
"Об установлении зон санитарной охраны источников питьевого и хозяйственно-бытового водоснабжения"
Номер опубликования: 3501202103120002
Дата опубликования: 12.03.2021
Страница №20 из 35:
Увеличить