Официальное опубликование правовых актов
ОФИЦИАЛЬНОЕ ОПУБЛИКОВАНИЕ
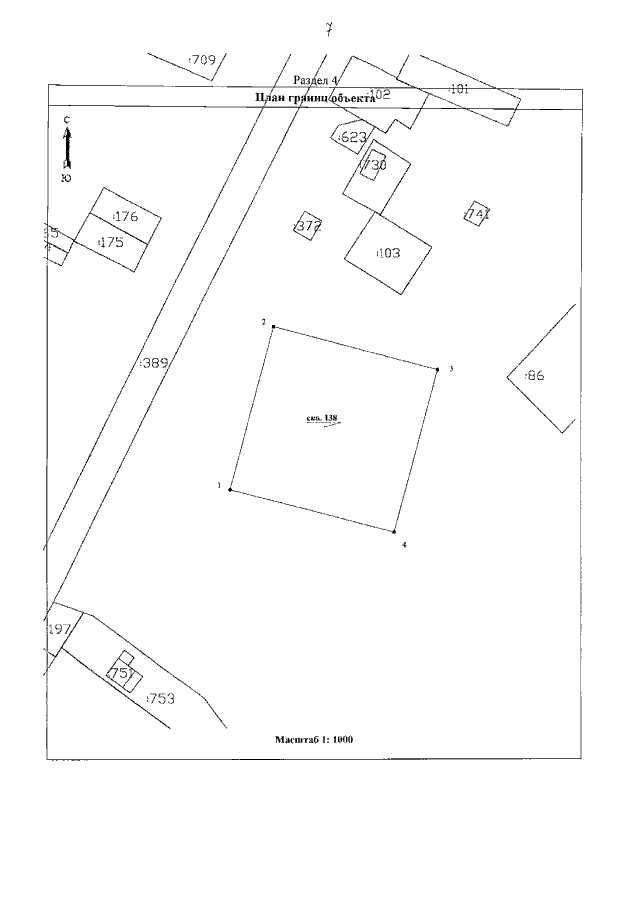
Приказ Департамента природных ресурсов и охраны окружающей среды Вологодской области от 08.12.2020 № 299
"Об установлении зон санитарной охраны источников питьевого и хозяйственно- бытового водоснабжения"
Номер опубликования: 3501202012110016
Дата опубликования: 11.12.2020
Страница №7 из 26:
Увеличить