Официальное опубликование правовых актов
ОФИЦИАЛЬНОЕ ОПУБЛИКОВАНИЕ
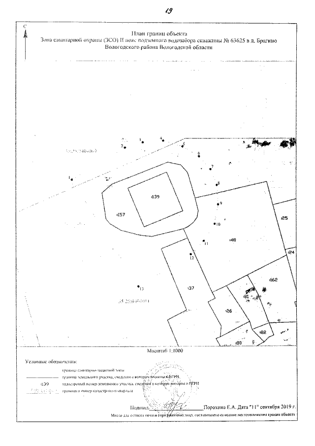
Приказ Департамента природных ресурсов и охраны окружающей среды Вологодской области от 25.08.2020 № 193
"Об установлении зон санитарной охраны источников питьевого и хозяйственно-бытового водоснабжения"
Номер опубликования: 3501202008260001
Дата опубликования: 26.08.2020
Страница №19 из 23:
Увеличить