Официальное опубликование правовых актов
ОФИЦИАЛЬНОЕ ОПУБЛИКОВАНИЕ
Приказ Министерства природопользования и экологии Владимирской области от 21.01.2026 № 5-н
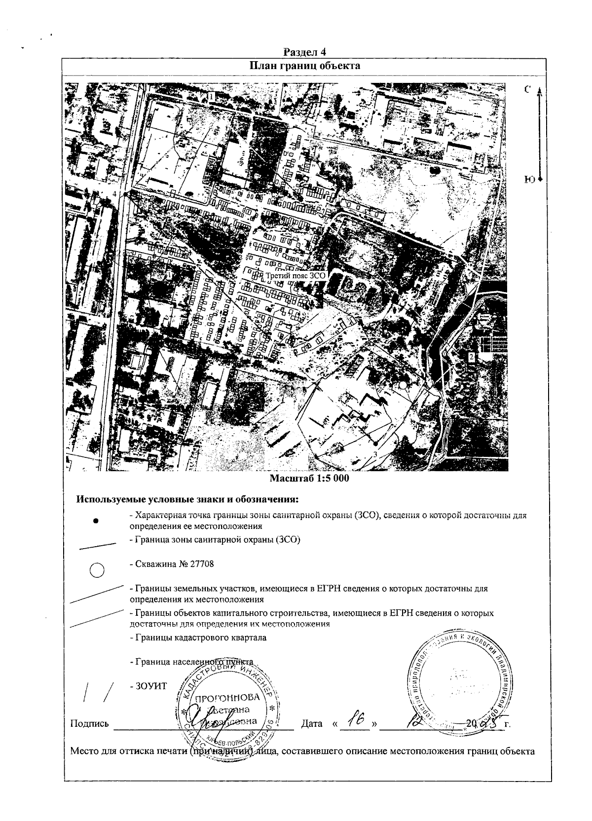
"Об установлении зон санитарной охраны источников хозяйственно-питьевого и производственного водоснабжения ООО "Авангард"
(Зарегистрирован 21.01.2026 № МПЭ2026-005)
Номер опубликования: 3301202601220001
Дата опубликования: 22.01.2026
Страница №17 из 19:
Увеличить