Официальное опубликование правовых актов
ОФИЦИАЛЬНОЕ ОПУБЛИКОВАНИЕ
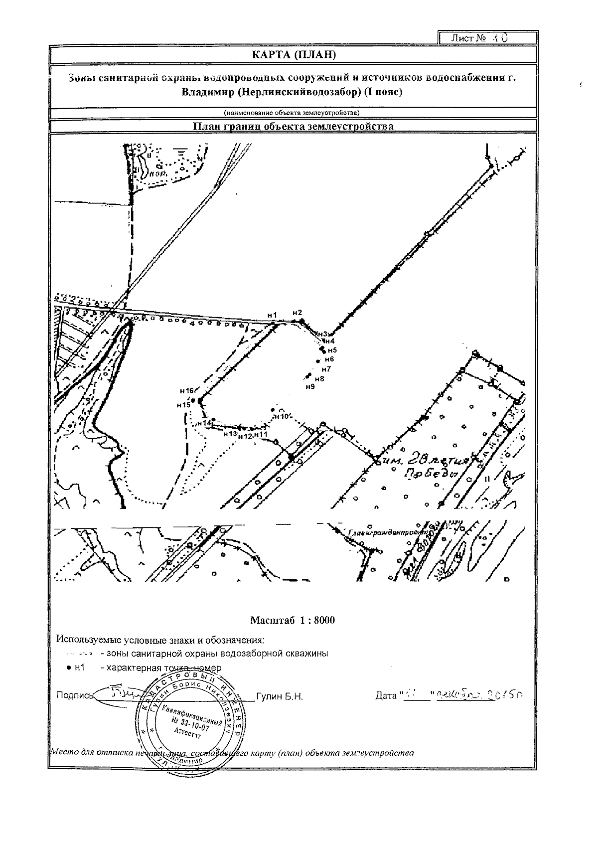
Приказ Министерства природопользования и экологии Владимирской области от 13.02.2025 № 9-н
(Зарегистрирован 13.02.2025 № МПЭ2025-009)
Номер опубликования: 3301202502130011
Дата опубликования: 13.02.2025
Страница №17 из 88:
Увеличить