Официальное опубликование правовых актов
ОФИЦИАЛЬНОЕ ОПУБЛИКОВАНИЕ
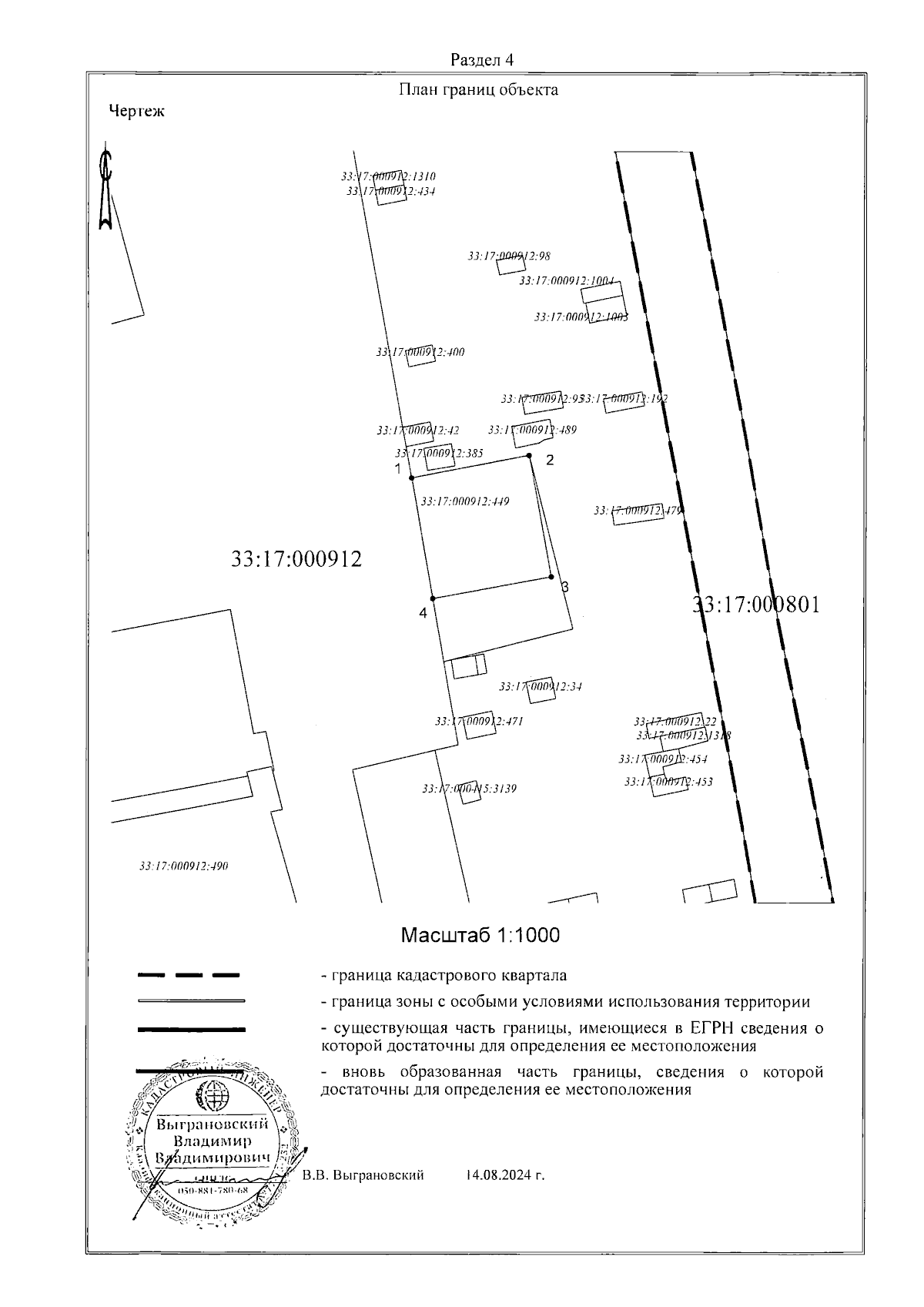
Приказ Министерства природопользования и экологии Владимирской области от 20.11.2024 № 102-н
"Об установлении зон санитарной охраны источников хозяйственно-питьевого и производственного водоснабжения МУП "Александров Водоканал"
(Зарегистрирован 20.11.2024 № МПЭ2024-102)
Номер опубликования: 3301202411200007
Дата опубликования: 20.11.2024
Страница №52 из 216:
Увеличить