Официальное опубликование правовых актов
ОФИЦИАЛЬНОЕ ОПУБЛИКОВАНИЕ
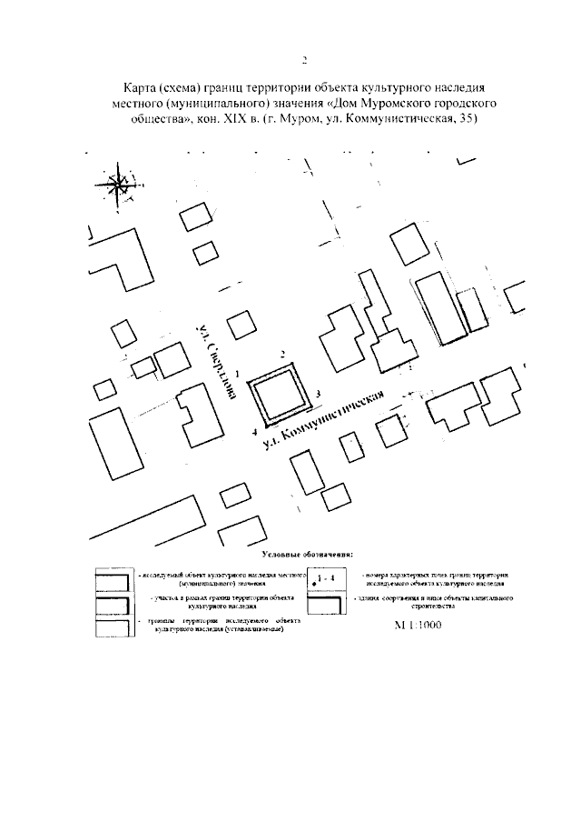
Приказ Инспекции государственной охраны объектов культурного наследия Владимирской области от 31.05.2023 № 16-н
"Об утверждении границ и режима использования территории объекта культурного наследия местного (муниципального) значения «Дом Муромского городского общества», кон. XIX в. (г Муром, ул. Коммунистическая, 35)"
(Зарегистрирован 31.05.2023 № ИГООКН2023-16)
Номер опубликования: 3301202306020015
Дата опубликования: 02.06.2023
Страница №3 из 6:
Увеличить