Официальное опубликование правовых актов
ОФИЦИАЛЬНОЕ ОПУБЛИКОВАНИЕ
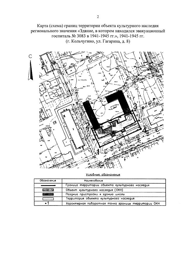
Приказ Инспекции государственной охраны объектов культурного наследия Владимирской области от 18.04.2023 № 6-н
"Об утверждении границ и режима использования территории объекта культурного наследия регионального значения "Здание, в котором находился эвакуационный госпиталь № 3083 в 1941-1945 гг.", 1941-1945 гг. (г. Кольчугино, ул. Гагарина, д. 8)"
(Зарегистрирован 18.04.2023 № ИГООКН2023-6н)
Номер опубликования: 3301202304210001
Дата опубликования: 21.04.2023
Страница №3 из 6:
Увеличить