Официальное опубликование правовых актов
ОФИЦИАЛЬНОЕ ОПУБЛИКОВАНИЕ
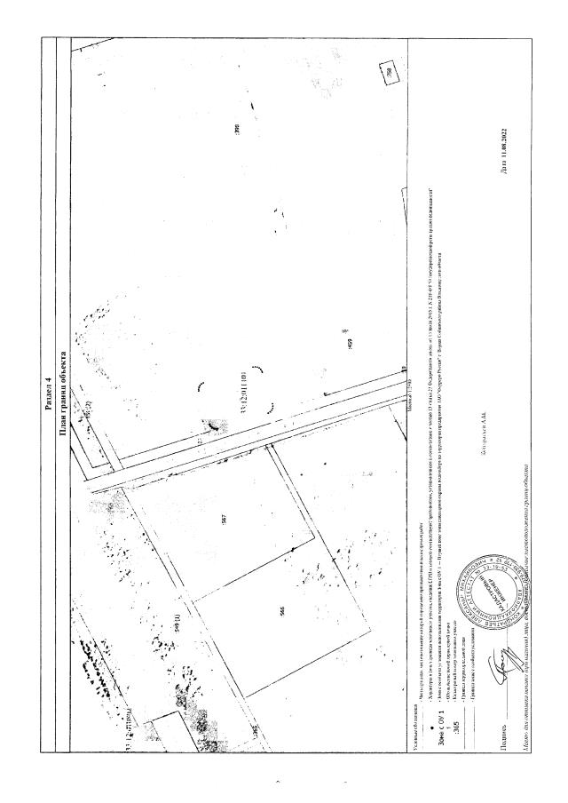
Постановление Департамента природопользования и охраны окружающей среды Владимирской области от 19.09.2022 № 93
"Об установлении зон санитарной охраны источников питьевого, хозяйственно-бытового водоснабжения ЗАО "Ферреро Руссия"
Номер опубликования: 3301202209200001
Дата опубликования: 20.09.2022
Страница №7 из 21: