Официальное опубликование правовых актов
ОФИЦИАЛЬНОЕ ОПУБЛИКОВАНИЕ
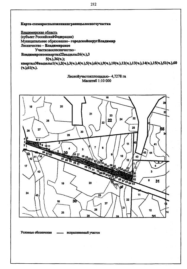
Постановление Департамента лесного хозяйства Владимирской области от 10.02.2021 № 02
"Об утверждении документации по изменению границ земель, на которых расположены леса в лесопарковых и зеленых зонах защитных лесов Владимирского лесничества Владимирской области"
Номер опубликования: 3301202102160002
Дата опубликования: 16.02.2021
Страница №215 из 269:
Увеличить