Официальное опубликование правовых актов
ОФИЦИАЛЬНОЕ ОПУБЛИКОВАНИЕ
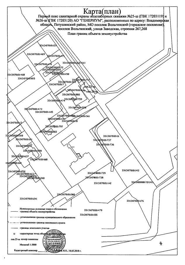
Постановление Департамента природопользования и охраны окружающей среды Владимирской области от 01.12.2020 № 161
"Об установлении зон санитарной охраны источников питьевого и технологического водоснабжения АО "Генериум"
Номер опубликования: 3301202012020001
Дата опубликования: 02.12.2020
Страница №10 из 61:
Увеличить