Официальное опубликование правовых актов
ОФИЦИАЛЬНОЕ ОПУБЛИКОВАНИЕ
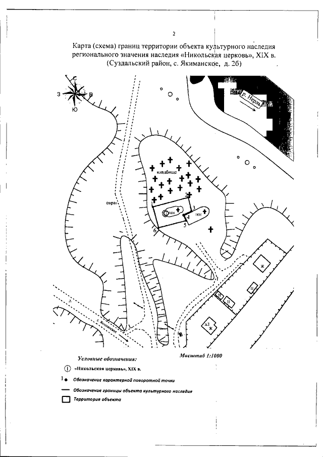
Постановление Инспекции по охране объектов культурного наследия Владимирской области от 07.02.2019 № 5
"Об утверждении границ и режима использования территории объекта культурного наследия регионального значения "Никольская церковь", XIX в. (Суздальский район, с. Якиманское, д.2б)"
Номер опубликования: 3301201902150004
Дата опубликования: 15.02.2019
Страница №3 из 6:
Увеличить