Официальное опубликование правовых актов
ОФИЦИАЛЬНОЕ ОПУБЛИКОВАНИЕ
Постановление Департамента природопользования и охраны окружающей среды Владимирской области от 31.10.2018 № 112/01-25
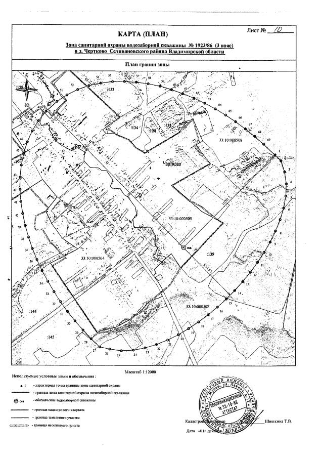
"Об утверждении проекта зон санитарной охраны источника водоснабжения-скважины №1923/86 МУП "Водоканал" ЖКХ Селивановского района в д. Чертково"
Номер опубликования: 3301201811070003
Дата опубликования: 07.11.2018
Страница №29 из 31:
Увеличить