Официальное опубликование правовых актов
ОФИЦИАЛЬНОЕ ОПУБЛИКОВАНИЕ
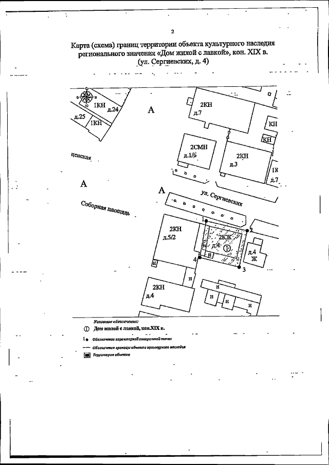
Постановление Инспекции по охране объектов культурного наследия Владимирской области от 14.06.2018 № 9
"Об утверждении границ и режима использования территорий объектов культурного наследия, расположенных в городе Вязники"
Номер опубликования: 3301201806250002
Дата опубликования: 25.06.2018
Страница №13 из 20:
Увеличить