Официальное опубликование правовых актов
ОФИЦИАЛЬНОЕ ОПУБЛИКОВАНИЕ
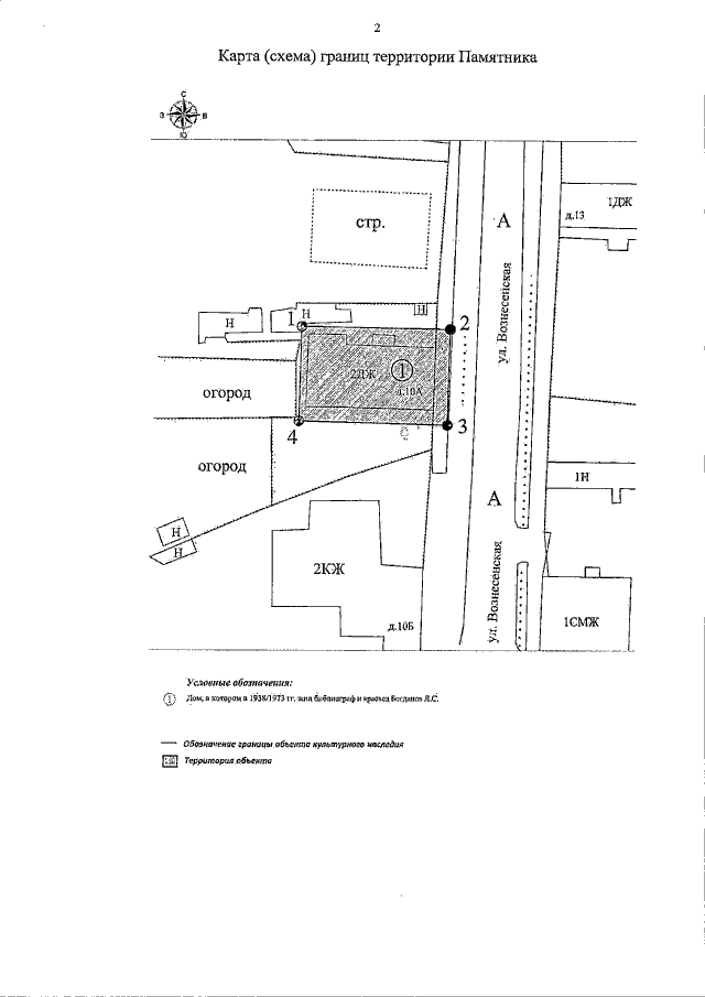
Постановление Инспекции по охране объектов культурного наследия Владимирской области от 22.11.2017 № 143
"Об утверждении границ и режима использования территории объекта культурного наследия регионального значения "Дом, в котором в 1938/73 гг. жил библиограф и краевед Богданов Л.С." (г. Владимир, ул. Вознесенская, д. 10а)"
Номер опубликования: 3301201711290030
Дата опубликования: 29.11.2017
Страница №3 из 7:
Увеличить