Постановление администрации Владимирской области от 05.03.2019 № 149
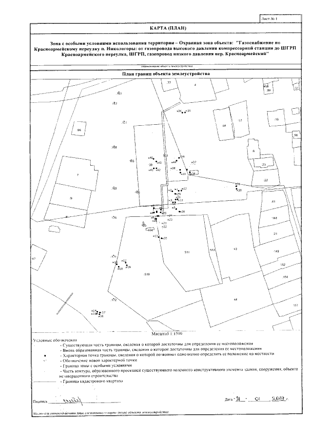
"Об утверждении границ охранных зон газораспределительных сетей"
"Об утверждении границ охранных зон газораспределительных сетей"
Номер опубликования: 3300201903060001
Дата опубликования:
06.03.2019
