Приказ Управления по охране и сохранению историко-культурного наследия Брянской области от 26.12.2023 № 2-1/247
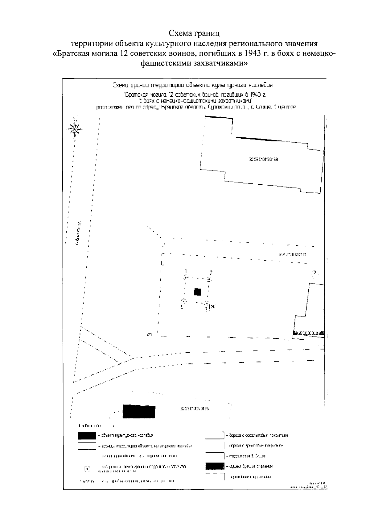
"Об утверждении границ территории, схемы границ территории и режима использования территории объекта культурного наследия регионального значения "Братская могила 12 советских воинов, погибших в 1943 г. в боях с немецко-фашистскими захватчиками", расположенного по адресу: Брянская область, Суражский район, с. Слище, в центре"
(Зарегистрирован 27.12.2023 № 20230143025)
"Об утверждении границ территории, схемы границ территории и режима использования территории объекта культурного наследия регионального значения "Братская могила 12 советских воинов, погибших в 1943 г. в боях с немецко-фашистскими захватчиками", расположенного по адресу: Брянская область, Суражский район, с. Слище, в центре"
(Зарегистрирован 27.12.2023 № 20230143025)
Номер опубликования: 3201202312290036
Дата опубликования:
29.12.2023
