Приказ Управления по охране и сохранению историко-культурного наследия Брянской области от 21.12.2023 № 2-1/225
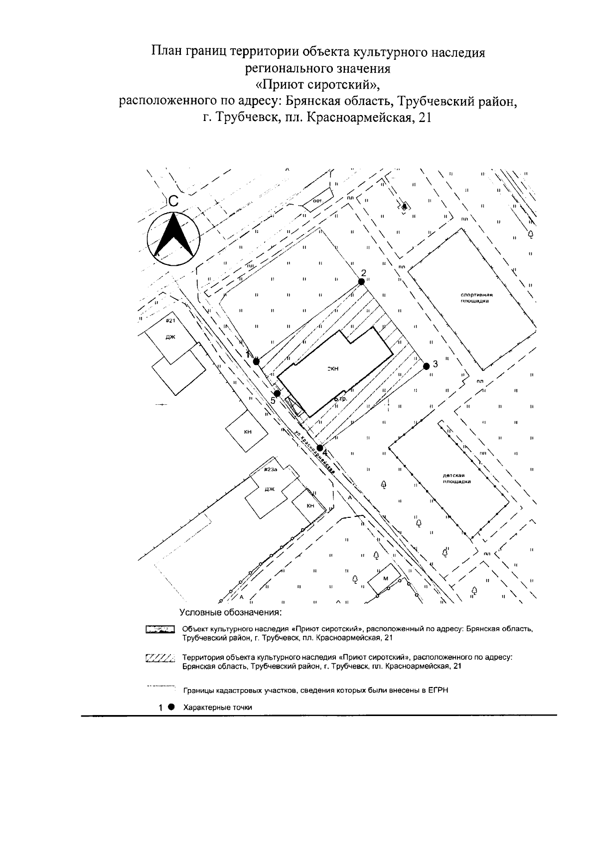
"Об утверждении границ территории, плана границ территории и режима использования территории объекта культурного наследия регионального значения "Приют сиротский", расположенного по адресу: Брянская область, Трубчевский район, г. Трубчевск, пл. Красноармейская, 21"
(Зарегистрирован 26.12.2023 № 20230124025)
"Об утверждении границ территории, плана границ территории и режима использования территории объекта культурного наследия регионального значения "Приют сиротский", расположенного по адресу: Брянская область, Трубчевский район, г. Трубчевск, пл. Красноармейская, 21"
(Зарегистрирован 26.12.2023 № 20230124025)
Номер опубликования: 3201202312290007
Дата опубликования:
29.12.2023
