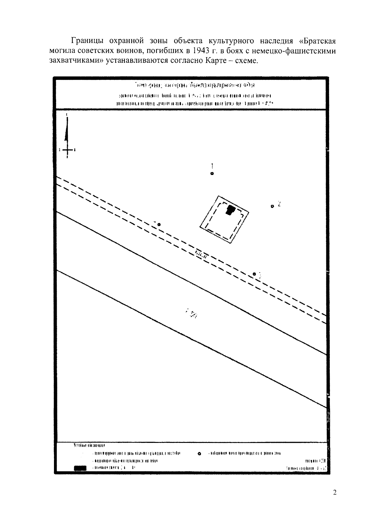
Приказ Управления по охране и сохранению историко-культурного наследия Брянской области от 14.12.2023 № 2-1/208
"Об установлении охранной зоны объекта культурного наследия регионального значения "Братская могила советских воинов, погибших в 1943 г. в боях с немецко-фашистскими захватчиками", расположенного по адресу: Брянская область, Карачевский район, шоссе Брянск-Карачев, и утверждении требований к градостроительным регламентам в границах территории охранной зоны"
(Зарегистрирован 15.12.2023 № 20230111025)
"Об установлении охранной зоны объекта культурного наследия регионального значения "Братская могила советских воинов, погибших в 1943 г. в боях с немецко-фашистскими захватчиками", расположенного по адресу: Брянская область, Карачевский район, шоссе Брянск-Карачев, и утверждении требований к градостроительным регламентам в границах территории охранной зоны"
(Зарегистрирован 15.12.2023 № 20230111025)
Номер опубликования: 3201202312210008
Дата опубликования:
21.12.2023
