Официальное опубликование правовых актов
ОФИЦИАЛЬНОЕ ОПУБЛИКОВАНИЕ
Постановление Правительства Брянской области от 09.01.2023 № 1-п
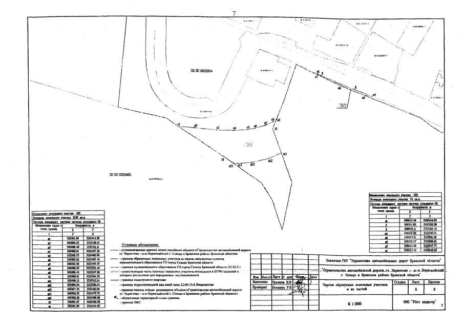
"Об утверждении основной части проекта межевания территории для размещения линейного объекта "Строительство автомобильной дороги ст. Чернетово - м-н Первомайский г. Сельцо в Брянском районе Брянской области"
Номер опубликования: 3200202301160004
Дата опубликования: 16.01.2023
Страница №8 из 218:
Увеличить