Официальное опубликование правовых актов
ОФИЦИАЛЬНОЕ ОПУБЛИКОВАНИЕ
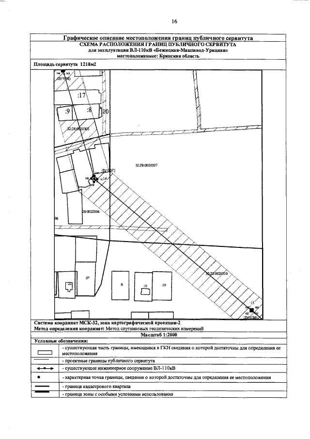
Постановление Правительства Брянской области от 23.12.2019 № 658-п
"Об установлении публичного сервитута"
Номер опубликования: 3200201912270007
Дата опубликования: 27.12.2019
Страница №19 из 44:
Увеличить