Постановление Правительства Брянской области от 18.11.2019 № 538-п
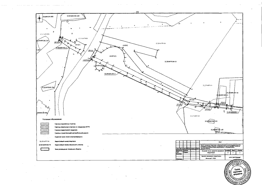
"Об утверждении основной части проекта планировки территории, содержащей проект межевания территории, для размещения линейного объекта "Строительство моста Через реку Судость на км 8+200 автомобильной дороги Валуец - Баклань в Почепском районе Брянской области"
"Об утверждении основной части проекта планировки территории, содержащей проект межевания территории, для размещения линейного объекта "Строительство моста Через реку Судость на км 8+200 автомобильной дороги Валуец - Баклань в Почепском районе Брянской области"
Номер опубликования: 3200201911210010
Дата опубликования:
21.11.2019
