Официальное опубликование правовых актов
ОФИЦИАЛЬНОЕ ОПУБЛИКОВАНИЕ
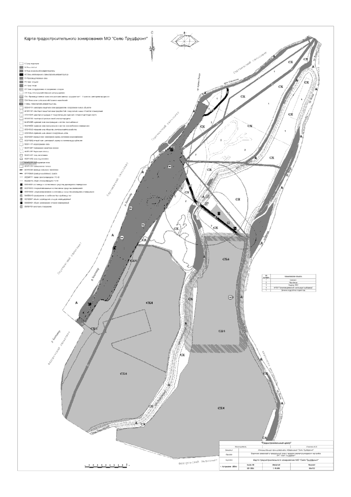
Постановление Министерства имущественных и градостроительных отношений Астраханской области от 20.03.2026 № 11
"Об утверждении изменений в Правила землепользования и застройки муниципального образования "Сельское поселение село Трудфронт Икрянинского муниципального района Астраханской области", утвержденные решением Совета муниципального образования "Икрянинский район" Астраханской области от 11.08.2022 № 38/9"
(Зарегистрирован 20.03.2026 № 114/26/11)
Номер опубликования: 3001202603260002
Дата опубликования: 26.03.2026
Страница №82 из 83:
Увеличить