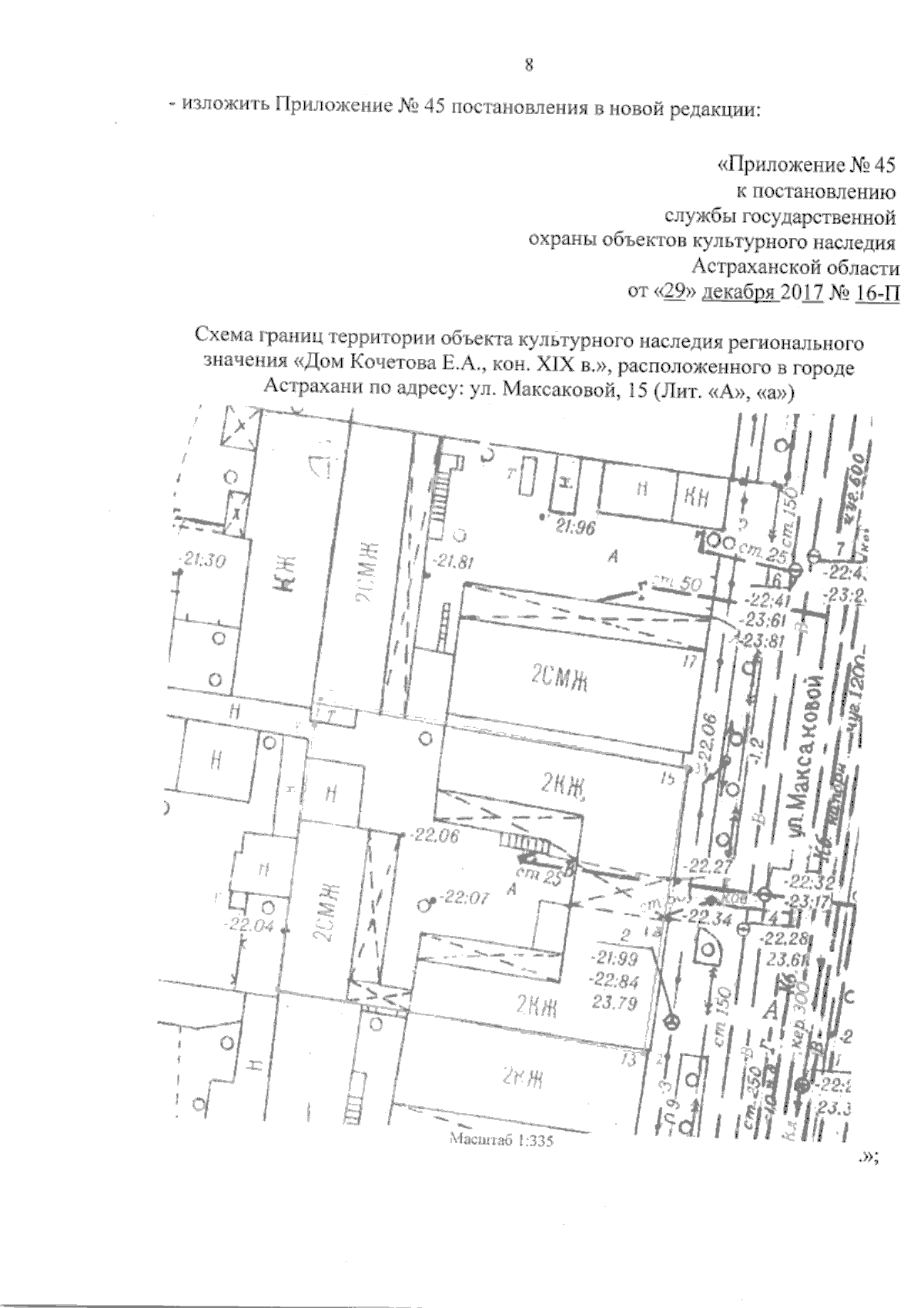
Постановление Службы государственной охраны объектов культурного наследия Астраханской области от 01.04.2025 № 12
"О внесении изменений в постановление службы государственной охраны объектов культурного наследия Астраханской области от 29.12.2017 № 16-П"
(Зарегистрирован 01.04.2025 № 302/25/12)
"О внесении изменений в постановление службы государственной охраны объектов культурного наследия Астраханской области от 29.12.2017 № 16-П"
(Зарегистрирован 01.04.2025 № 302/25/12)
Номер опубликования: 3001202504100009
Дата опубликования:
10.04.2025
