Официальное опубликование правовых актов
ОФИЦИАЛЬНОЕ ОПУБЛИКОВАНИЕ
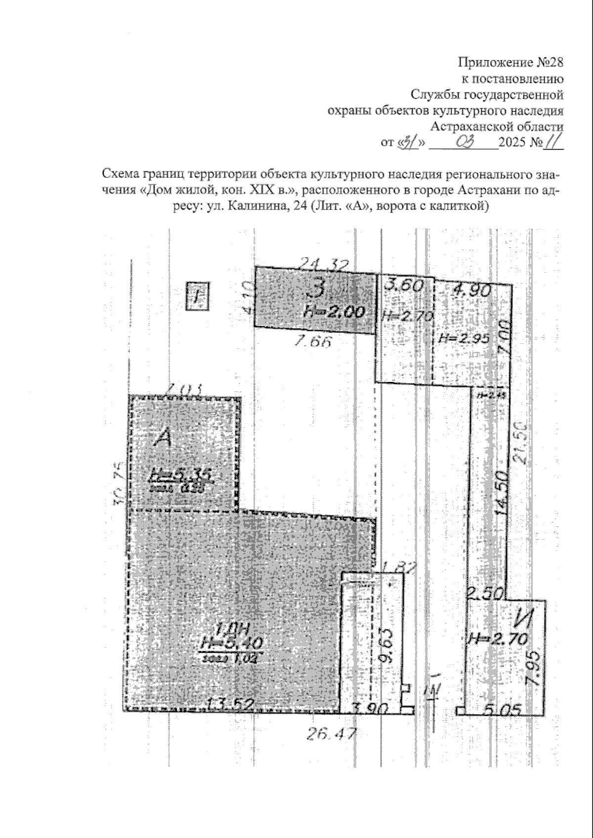
Постановление Службы государственной охраны объектов культурного наследия Астраханской области от 31.03.2025 № 11
"Об установлении границ территорий объектов культурного наследия, расположенных в городе Астрахани"
(Зарегистрирован 31.03.2025 № 302/25/11)
Номер опубликования: 3001202504030007
Дата опубликования: 03.04.2025
Страница №44 из 66:
Увеличить