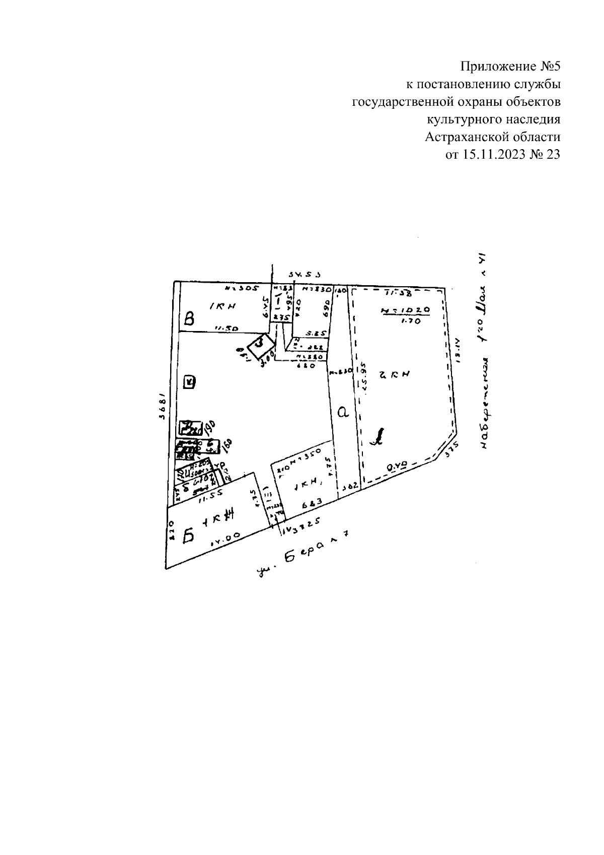
Постановление Службы государственной охраны объектов культурного наследия Астраханской области от 15.11.2023 № 23
"Об установлении границ территорий объектов культурного наследия, расположенных в городе Астрахани"
(Зарегистрирован 15.11.2023 № 302/23/23)
"Об установлении границ территорий объектов культурного наследия, расположенных в городе Астрахани"
(Зарегистрирован 15.11.2023 № 302/23/23)
Номер опубликования: 3001202311230001
Дата опубликования:
23.11.2023
