Распоряжение Правительства Астраханской области от 28.02.2025 № 58-Пр
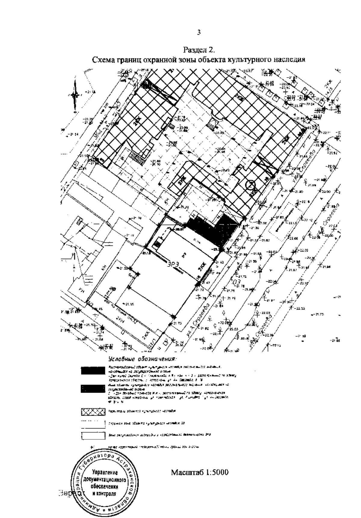
"Об установлении зоны охраны объекта культурного наследия регионального значения "Дом жилой Озимова С.А. (Королькова А.Ф.), кон. XIX в.", расположенного по адресу: Астраханская область, г. Астрахань, ул. Ан. Сергеева, 18 (Лит. "А", "а"), и утверждении требований к градостроительным регламентам в границах данной зоны"
"Об установлении зоны охраны объекта культурного наследия регионального значения "Дом жилой Озимова С.А. (Королькова А.Ф.), кон. XIX в.", расположенного по адресу: Астраханская область, г. Астрахань, ул. Ан. Сергеева, 18 (Лит. "А", "а"), и утверждении требований к градостроительным регламентам в границах данной зоны"
Номер опубликования: 3000202503040004
Дата опубликования:
04.03.2025
