Постановление Правительства Хабаровского края от 15.04.2026 № 121-пр
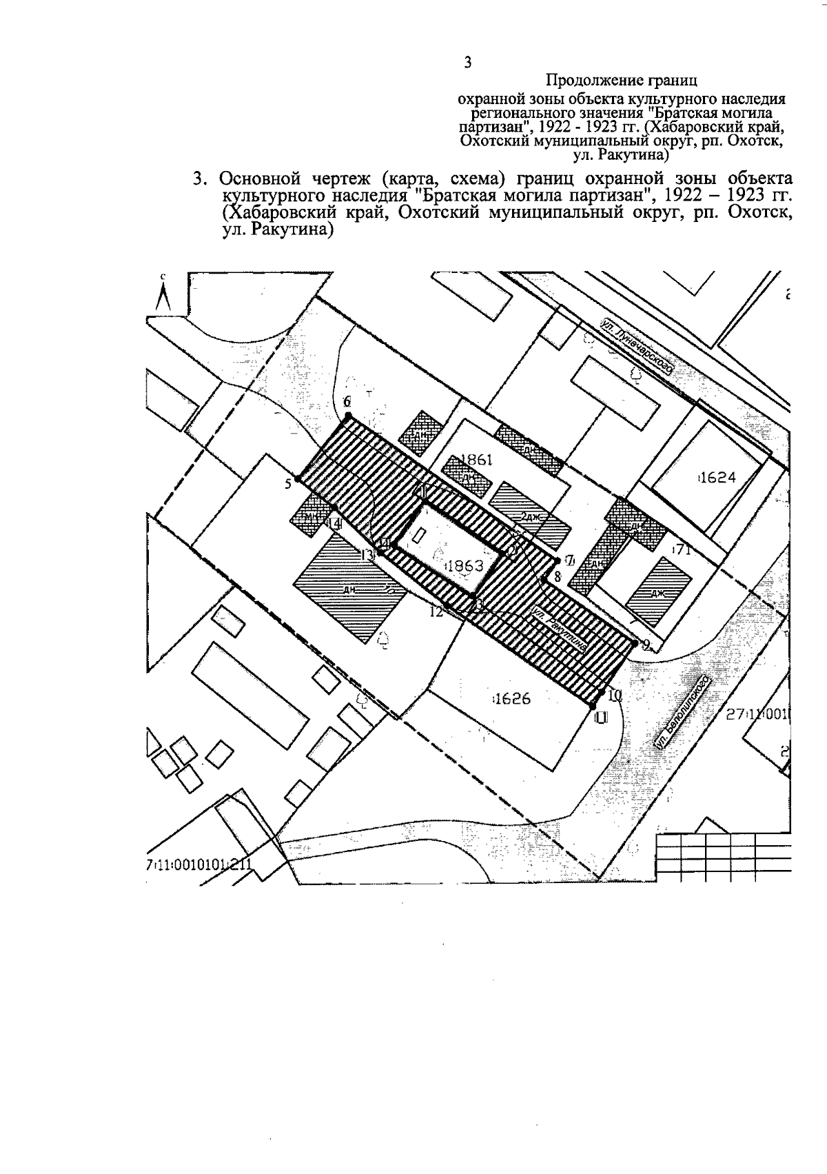
"Об установлении охранной зоны объекта культурного наследия регионального значения "Братская могила партизан", 1922 ‒ 1923 гг. (Хабаровский край, Охотский муниципальный округ, рп. Охотск, ул. Ракутина) и ограничений использования земельных участков и их частей в ее границах"
"Об установлении охранной зоны объекта культурного наследия регионального значения "Братская могила партизан", 1922 ‒ 1923 гг. (Хабаровский край, Охотский муниципальный округ, рп. Охотск, ул. Ракутина) и ограничений использования земельных участков и их частей в ее границах"
Номер опубликования: 2700202604160007
Дата опубликования:
16.04.2026
