Приказ Инспекции по охране объектов культурного наследия Приморского края от 29.05.2025 № 159
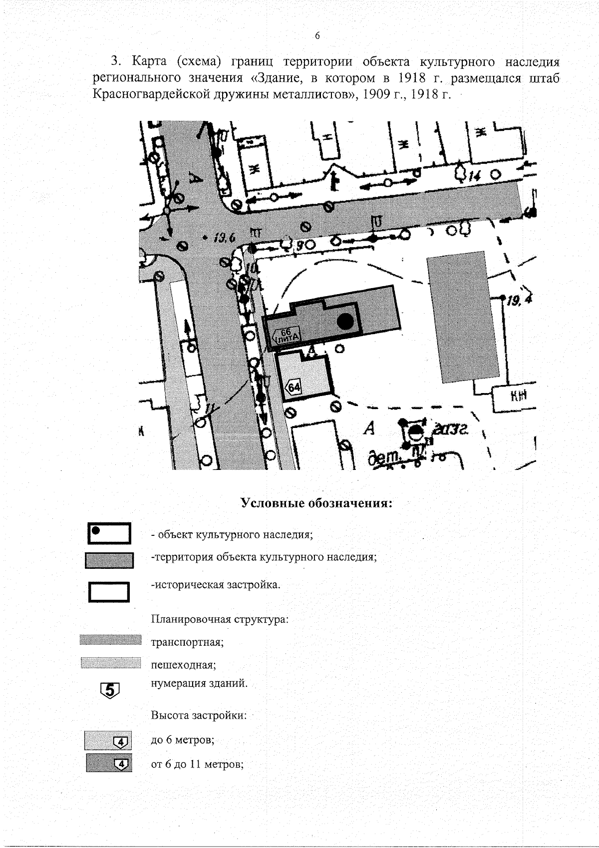
"Об утверждении границ территории объекта культурного наследия (памятника истории и культуры) народов Российской Федерации регионального значения "Здание, в котором в 1918 г. размещался штаб Красногвардейской дружины металлистов", 1909 г., 1918 г., регистрационный номер 251611294270005, расположенного по адресу (местонахождение): Приморский край, г. Уссурийск, ул. Ленина, д. 66 (лит.А)"
(Зарегистрирован 29.05.2025 № 2278)
"Об утверждении границ территории объекта культурного наследия (памятника истории и культуры) народов Российской Федерации регионального значения "Здание, в котором в 1918 г. размещался штаб Красногвардейской дружины металлистов", 1909 г., 1918 г., регистрационный номер 251611294270005, расположенного по адресу (местонахождение): Приморский край, г. Уссурийск, ул. Ленина, д. 66 (лит.А)"
(Зарегистрирован 29.05.2025 № 2278)
Номер опубликования: 2501202506020029
Дата опубликования:
02.06.2025
