Официальное опубликование правовых актов
ОФИЦИАЛЬНОЕ ОПУБЛИКОВАНИЕ
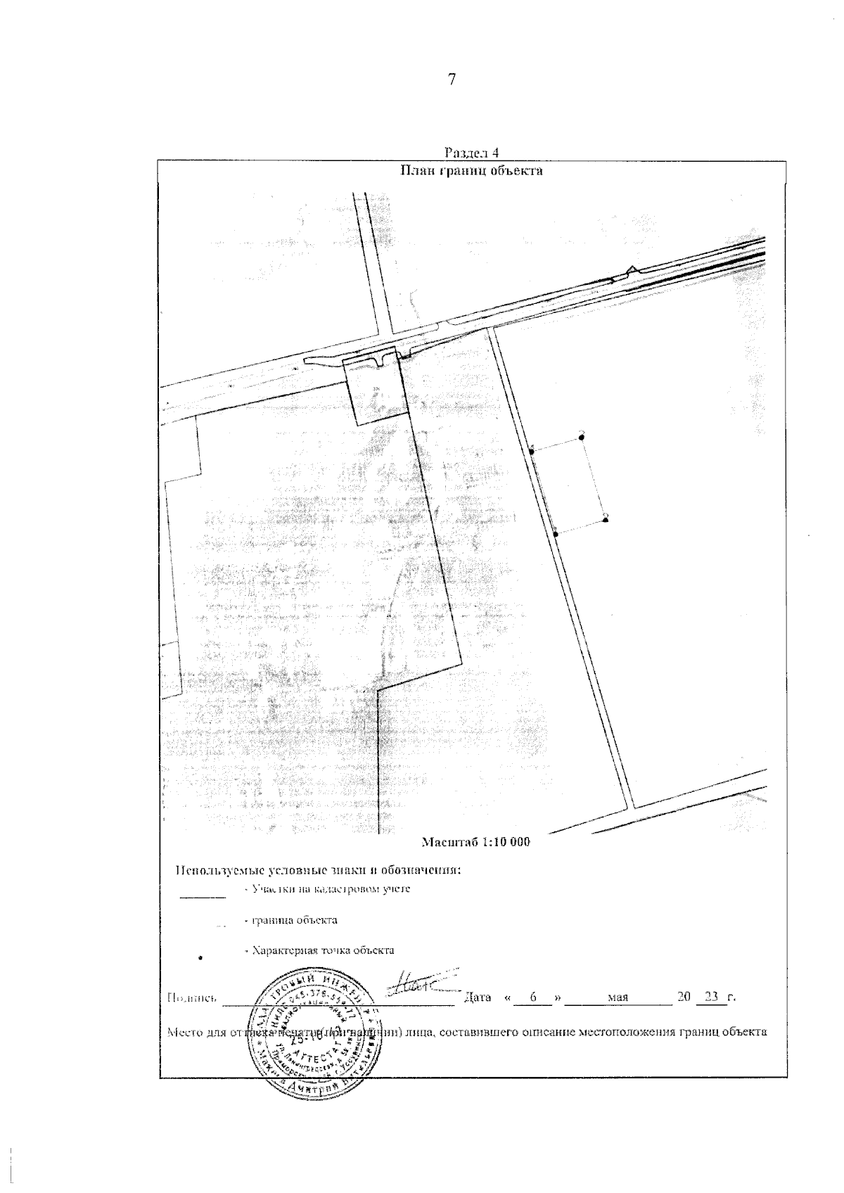
Постановление Правительства Приморского края от 24.10.2023 № 724-пп
"Об установлении зон санитарной охраны для водозаборных скважин № 7/2-М, № 7/3-М, № 7/4-М (резервная), расположенных в 3 км западнее с. Абрамовка Михайловского муниципального района Приморского края"
Номер опубликования: 2501202310250001
Дата опубликования: 25.10.2023
Страница №8 из 33:
Увеличить