Официальное опубликование правовых актов
ОФИЦИАЛЬНОЕ ОПУБЛИКОВАНИЕ
Приказ Инспекции по охране объектов культурного наследия Приморского края от 08.08.2023 № 299
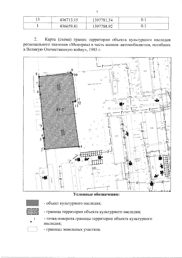
"Об утверждении границ территории объекта культурного наследия (памятника истории и культуры) народов Российской Федерации регионального значения "Мемориал в честь воинов–автомобилистов, погибших в Великую Отечественную войну", 1985 г., регистрационный номер 251711294700005, расположенного по адресу (местонахождение): Приморский край, г. Уссурийск, ул. Ермакова, у въезда на территорию воинской части 07001"
(Зарегистрирован 09.08.2023 № 415)
Номер опубликования: 2501202308110008
Дата опубликования: 11.08.2023
Страница №5 из 5:
Увеличить