Официальное опубликование правовых актов
ОФИЦИАЛЬНОЕ ОПУБЛИКОВАНИЕ
Постановление Правительства Приморского края от 25.05.2023 № 345-пп
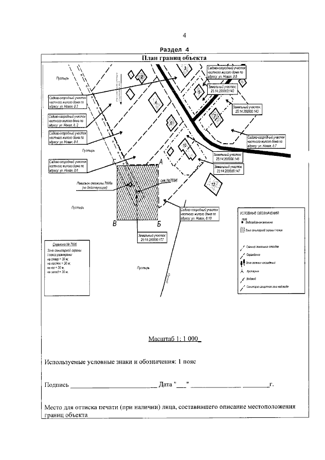
"Об установлении зон санитарной охраны для водозаборной скважины № 7696, расположенной на земельном участке с кадастровым номером 25:14:200000:177‚ находящейся в 0,4 км от нежилого здания по адресу: Приморский край, Пограничный муниципальный округ, с. Бойкое, ул. Ленина, д. 18"
Номер опубликования: 2501202305260009
Дата опубликования: 26.05.2023
Страница №6 из 21:
Увеличить