Официальное опубликование правовых актов
ОФИЦИАЛЬНОЕ ОПУБЛИКОВАНИЕ
Приказ Инспекции по охране объектов культурного наследия Приморского края от 12.12.2022 № 383
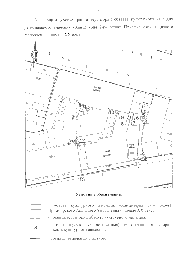
"Об утверждении границ территории объекта культурного наследия (памятника истории и культуры) народов Российской Федерации регионального значения "Канцелярия 2-го округа Приамурского Акцизного Управления", начало XX века, расположенного по адресу (местонахождение): Приморский край, г. Владивосток, ул. Мордовцева, д. 5"
Номер опубликования: 2501202212140024
Дата опубликования: 14.12.2022
Страница №5 из 5:
Увеличить