Официальное опубликование правовых актов
ОФИЦИАЛЬНОЕ ОПУБЛИКОВАНИЕ
Приказ Инспекции по охране объектов культурного наследия Приморского края от 30.05.2022 № 205
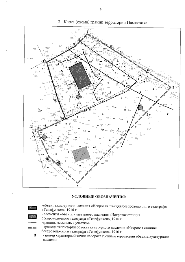
"О включении выявленного объекта культурного наследия "Искровая станция беспроволочного телеграфа "Телефункен", 1910 г. в единый государственный реестр объектов культурного наследия (памятников истории и культуры) народов Российской Федерации в качестве объекта культурного наследия регионального значения, утверждении границ территории объекта культурного наследия"
Номер опубликования: 2501202205310007
Дата опубликования: 31.05.2022
Страница №6 из 6:
Увеличить