Официальное опубликование правовых актов
ОФИЦИАЛЬНОЕ ОПУБЛИКОВАНИЕ
Приказ Инспекции по охране объектов культурного наследия Приморского края от 21.03.2022 № 105
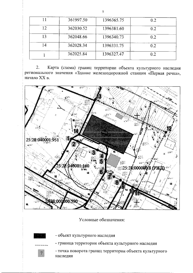
"Об утверждении границ территории объекта культурного наследия (памятника истории и культуры) народов Российской Федерации регионального значения "Здание железнодорожной станции "Первая речка", начало XX в., регистрационный номер 251410144820005, расположенного по адресу (местонахождение): Приморский край, г. Владивосток, железнодорожная станция "Первая речка"
Номер опубликования: 2501202203250011
Дата опубликования: 25.03.2022
Страница №5 из 5:
Увеличить