Официальное опубликование правовых актов
ОФИЦИАЛЬНОЕ ОПУБЛИКОВАНИЕ
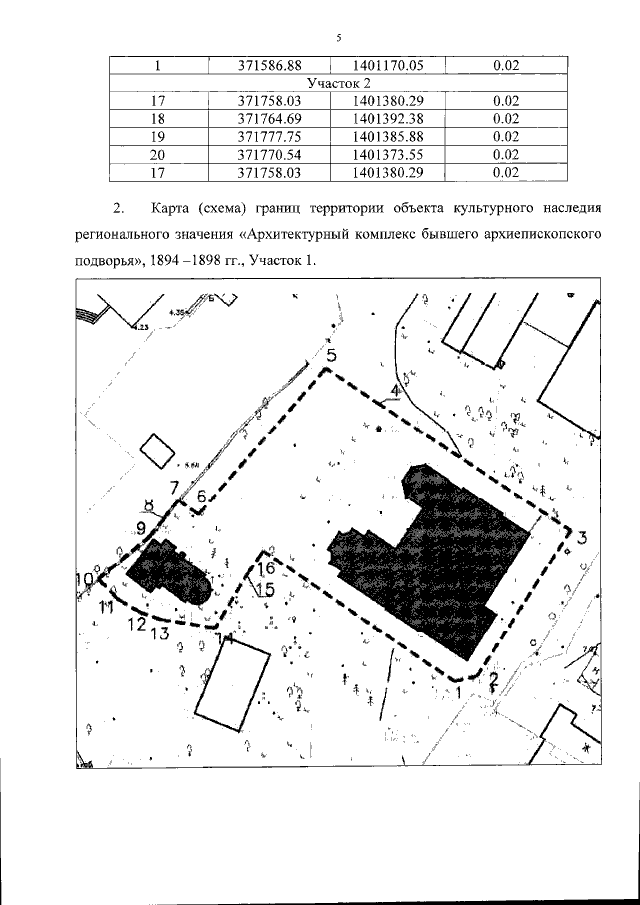
Приказ Инспекции по охране объектов культурного наследия Приморского края от 27.05.2021 № 239
"Об утверждении границ территории объекта культурного наследия (памятника истории и культуры) народов Российской Федерации регионального значения "Архитектурный комплекс бывшего архиепископского подворья", 1894 –1898 гг., расположенного по адресу (местонахождение): Приморский край, г. Владивосток, Седанка, ул. 14–я, 32"
Номер опубликования: 2501202106010006
Дата опубликования: 01.06.2021
Страница №5 из 6:
Увеличить