Официальное опубликование правовых актов
ОФИЦИАЛЬНОЕ ОПУБЛИКОВАНИЕ
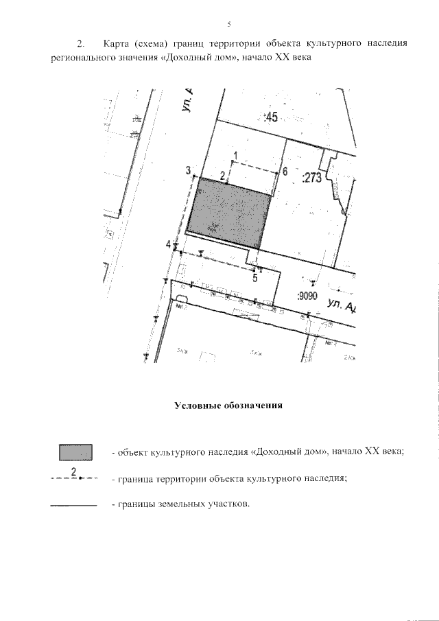
Приказ Инспекции по охране объектов культурного наследия Приморского края от 26.04.2021 № 197
"Об утверждении границ территории объекта культурного наследия (памятника истории и культуры) народов Российской Федерации регионального значения "Доходный дом", начало ХХ века, расположенного по адресу (местонахождение): Приморский край, г. Владивосток, ул. Адмирала Фокина, д. 15"
Номер опубликования: 2501202104270006
Дата опубликования: 27.04.2021
Страница №5 из 5:
Увеличить