Официальное опубликование правовых актов
ОФИЦИАЛЬНОЕ ОПУБЛИКОВАНИЕ
Постановление Правительства Приморского края от 13.04.2021 № 224-пп
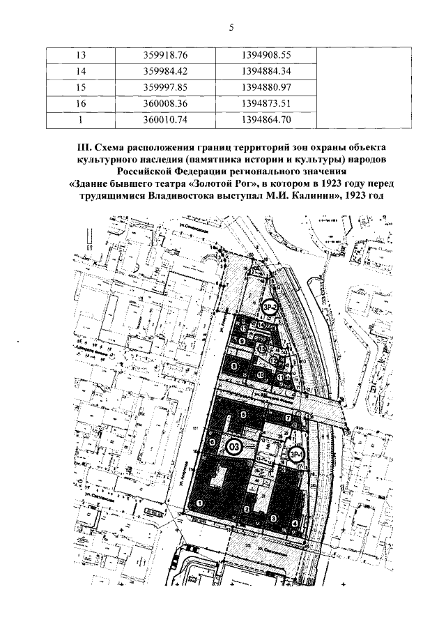
"Об установлении зон охраны объекта культурного наследия (памятника истории и культуры) народов Российской Федерации регионального значения "Здание бывшего театра "Золотой Рог", в котором в 1923 году перед трудящимися Владивостока выступал М.И. Калинин", 1923 год, утверждении требований к градостроительным регламентам в границах территорий данных зон"
Номер опубликования: 2501202104140004
Дата опубликования: 14.04.2021
Страница №7 из 23:
Увеличить