Приказ Инспекции по охране объектов культурного наследия Приморского края от 30.05.2019 № 132
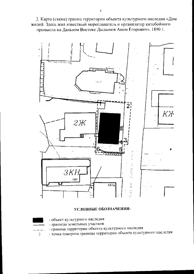
"Об утверждении границ территории объекта культурного наследия регионального значения "Дом жилой. Здесь жил известный мореплаватель и организатор китобойного промысла на Дальнем Востоке Дыдымов Аким Егорович", 1890 г., расположенного по адресу (местонахождение): Приморский край, г. Владивосток, ул. Карла Либкнехта, д. 3"
"Об утверждении границ территории объекта культурного наследия регионального значения "Дом жилой. Здесь жил известный мореплаватель и организатор китобойного промысла на Дальнем Востоке Дыдымов Аким Егорович", 1890 г., расположенного по адресу (местонахождение): Приморский край, г. Владивосток, ул. Карла Либкнехта, д. 3"
Номер опубликования: 2501201905310010
Дата опубликования:
31.05.2019
