Постановление Администрации Приморского края от 16.11.2017 № 461-па
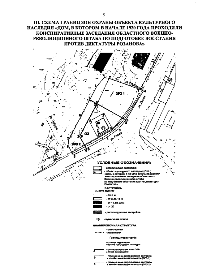
"Об утверждении границ зон охраны объекта культурного наследия (памятника истории и культуры) народов Российской Федерации регионального значения "Дом, в котором в начале 1920 года проходили конспиративные заседания областного Военно-революционного штаба по подготовке восстания против диктатуры Розанова", режимов использования земель и градостроительных регламентов в границах данных зон"
"Об утверждении границ зон охраны объекта культурного наследия (памятника истории и культуры) народов Российской Федерации регионального значения "Дом, в котором в начале 1920 года проходили конспиративные заседания областного Военно-революционного штаба по подготовке восстания против диктатуры Розанова", режимов использования земель и градостроительных регламентов в границах данных зон"
Номер опубликования: 2500201711210008
Дата опубликования:
21.11.2017
