Официальное опубликование правовых актов
ОФИЦИАЛЬНОЕ ОПУБЛИКОВАНИЕ
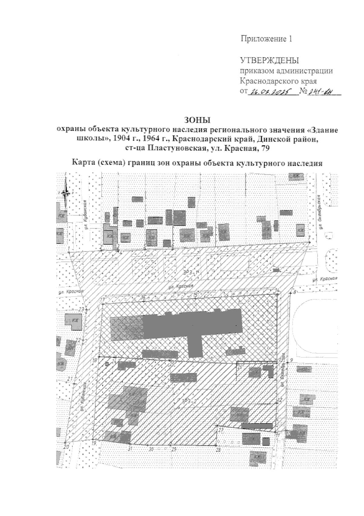
Приказ администрации Краснодарского края от 26.02.2025 № 241-КН
"Об установлении зон охраны, утверждении режимов использования земель и требований к градостроительным регламентам в границах территорий данных зон объекта культурного наследия регионального значения "Здание школы", 1904 г., 1964 г., Краснодарский край, Динской район, ст–ца Пластуновская, ул. Красная, 79"
Номер опубликования: 2301202503060014
Дата опубликования: 06.03.2025
Страница №3 из 10:
Увеличить