Официальное опубликование правовых актов
ОФИЦИАЛЬНОЕ ОПУБЛИКОВАНИЕ
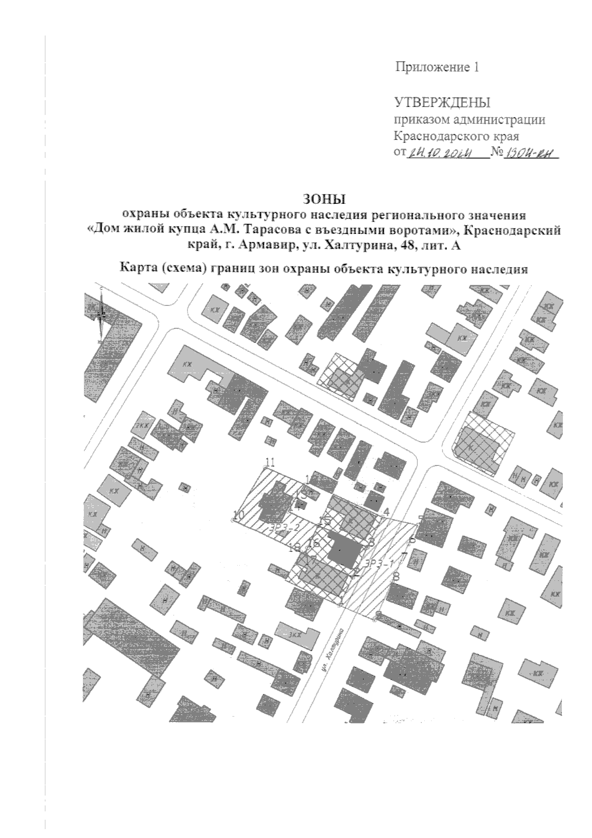
Приказ администрации Краснодарского края от 24.10.2024 № 1304-КН
"Об установлении зон охраны, утверждении режимов использования земель и требований к градостроительным регламентам в границах территорий данных зон объекта культурного наследия регионального значения "Дом жилой купца А. М. Тарасова с въездными воротами", Краснодарский край, г. Армавир, ул. Халтурина, 48, лит. А"
Номер опубликования: 2301202410310015
Дата опубликования: 31.10.2024
Страница №3 из 11:
Увеличить