Официальное опубликование правовых актов
ОФИЦИАЛЬНОЕ ОПУБЛИКОВАНИЕ
Приказ администрации Краснодарского края от 16.08.2023 № 542-КН
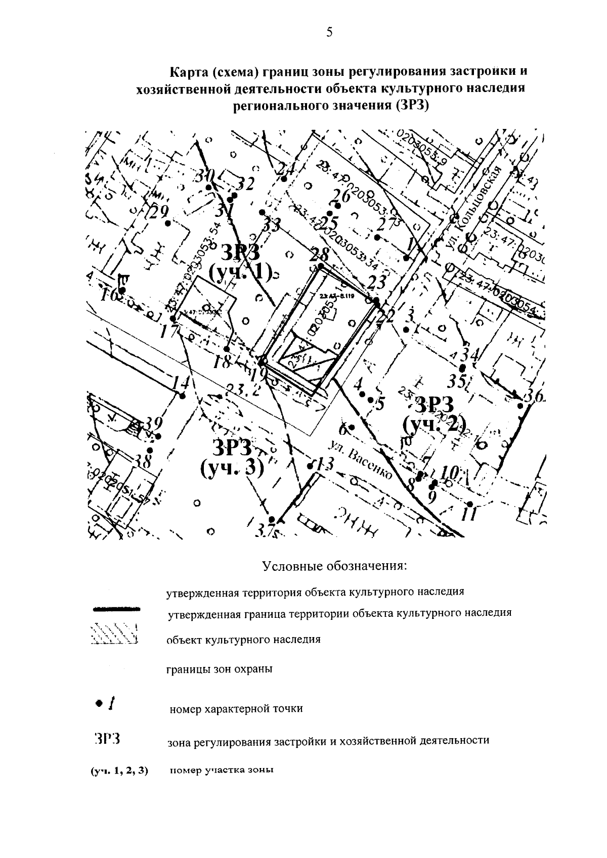
"Об установлении зон охраны, утверждении режимов использования земель и требований к градостроительным регламентам в границах территорий данных зон объекта культурного наследия регионального значения "Дом, где в 1926 - 1928 гг. жил и работал писатель Н.А. Островский (1904 - 1936)", конец XIX в., 1926 - 1928 гг., 1952 г., Краснодарский край, г. Новороссийск, угол ул. Васенко, 21 и ул. Кольцовской, 8, лит. А"
Номер опубликования: 2301202308230001
Дата опубликования: 23.08.2023
Страница №7 из 16:
Увеличить