Официальное опубликование правовых актов
ОФИЦИАЛЬНОЕ ОПУБЛИКОВАНИЕ
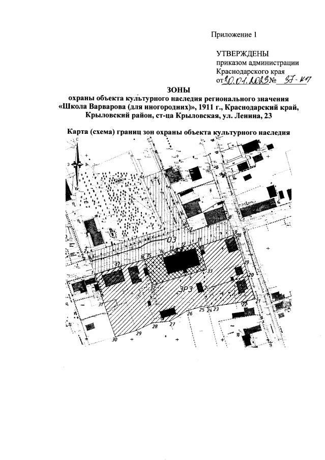
Приказ администрации Краснодарского края от 30.01.2023 № 37-КН
"Об установлении зон охраны, утверждении режимов использования земель и требований к градостроительным регламентам в границах территорий данных зон объекта культурного наследия регионального значения "Школа Варварова (для иногородних)", 1911 г., Краснодарский край, Крыловский район, ст-ца Крыловская, ул. Ленина, 23"
Номер опубликования: 2301202302060018
Дата опубликования: 06.02.2023
Страница №3 из 8:
Увеличить