Официальное опубликование правовых актов
ОФИЦИАЛЬНОЕ ОПУБЛИКОВАНИЕ
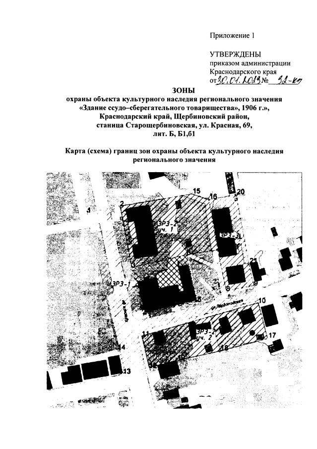
Приказ администрации Краснодарского края от 30.01.2023 № 32-КН
"Об установлении зон охраны, утверждении режимов использования земель и требований к градостроительным регламентам в границах территорий данных зон объекта культурного наследия регионального значения "Здание ссудо-сберегательного товарищества", 1906 г.", Краснодарский край, Щербиновский район, станица Старощербиновская, ул. Красная, 69, лит. Б, Б1,б1"
Номер опубликования: 2301202302060008
Дата опубликования: 06.02.2023
Страница №3 из 11:
Увеличить