Приказ администрации Краснодарского края от 21.12.2022 № 1391-КН
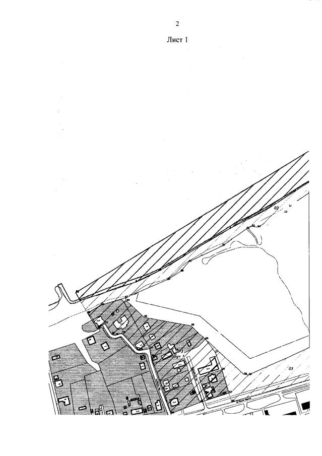
"Об утверждении границ и режима использования территории, а также зон охраны, режимов использования земель и требований к градостроительным регламентам в границах территорий данных зон объекта культурного наследия федерального значения "Валы и рвы крепости "Фанагорийская", построенной Суворовым Александром Васильевичем", 1793-1835 гг.,1820 г., 1837-1840 гг., 1837-1842 гг., 1861-1877 гг., Краснодарский край, Темрюкский район, станица Тамань"
"Об утверждении границ и режима использования территории, а также зон охраны, режимов использования земель и требований к градостроительным регламентам в границах территорий данных зон объекта культурного наследия федерального значения "Валы и рвы крепости "Фанагорийская", построенной Суворовым Александром Васильевичем", 1793-1835 гг.,1820 г., 1837-1840 гг., 1837-1842 гг., 1861-1877 гг., Краснодарский край, Темрюкский район, станица Тамань"
Номер опубликования: 2301202212280006
Дата опубликования:
28.12.2022
