Официальное опубликование правовых актов
ОФИЦИАЛЬНОЕ ОПУБЛИКОВАНИЕ
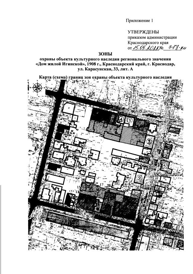
Приказ администрации Краснодарского края от 15.09.2022 № 778-КН
"Об установлении зон охраны, утверждении режимов использования земель и требований к градостроительным регламентам в границах территорий данных зон объекта культурного наследия регионального значения "Дом жилой Игинской", 1908 г., Краснодарский край, г. Краснодар, ул. Карасунская, 33, лит. А"
Номер опубликования: 2301202209220005
Дата опубликования: 22.09.2022
Страница №3 из 15:
Увеличить